JavaScript is disabled in your browser. Please enable JavaScript to view this website.
AB3534

Anti-Pseudorabies Virus 抗体

Anti-Pseudorabies Virus antibody

5

(1 Review)

|

(12 Publications)

Rabbit Polyclonal Pseudorabies Virus antibody. Suitable for IHC-Fr and reacts with Pseudorabies Virus samples. Cited in 12 publications. Immunogen corresponding to Virus preparation containing Pseudorabies Virus protein.

別名を表示する

Alphaherpesvirus pseudorabies virus, PRV, Suid herpesvirus 1, Suid herpesvirus type 1

1 Images
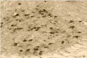
Immunohistochemistry (Frozen sections) - Anti-Pseudorabies Virus antibody (AB3534)
  • IHC-Fr

Unknown

Immunohistochemistry (Frozen sections) - Anti-Pseudorabies Virus antibody (AB3534)

Immunohistochemical staining of PRV in rat hypothalamus from animals infected by injection of PRV into the vitreous body of the eye with ab3534.

Key facts

宿主種

Rabbit

クローン性

Polyclonal

アイソタイプ

IgG

キャリアフリー

No

交差種

Pseudorabies Virus

アプリケーション

IHC-Fr

applications

免疫原

The exact immunogen used to generate this antibody is proprietary information.

Reactivity data

{ "title": "Reactivity Data", "filters": { "stats": ["", "Species", "Dilution Info", "Notes"], "tabs": { "all-applications": {"fullname" : "All Applications", "shortname": "All Applications"}, "IHCFr" : {"fullname" : "Immunohistochemistry (Frozen sections)", "shortname":"IHC-Fr"} }, "product-promise": { "all": "all", "testedAndGuaranteed": "tested", "guaranteed": "expected", "predicted": "predicted", "notRecommended": "not-recommended" } }, "values": { "Pseudorabies Virus": { "IHCFr-species-checked": "testedAndGuaranteed", "IHCFr-species-dilution-info": "1 µg/mL", "IHCFr-species-notes": "<p></p>" } } }

出荷温度及び保存条件

製品の状態
Liquid
精製方法
Affinity purification Protein A
バッファー組成
Preservative: 0.05% Sodium azide Constituents: 99% PBS, 0.1% BSA
出荷温度
Blue Ice
短期保存期間
1-2 weeks
短期保存温度
+4°C
長期保存温度
-20°C
分注に関する情報
Upon delivery aliquot
保管に関する情報
Avoid freeze / thaw cycle

補足情報

This supplementary information is collated from multiple sources and compiled automatically.

Pseudorabies virus (PRV) also known as Suid herpesvirus 1 is a member of the Alphaherpesvirinae subfamily. The virion has a mass of approximately 100 megadaltons. The virus expresses extensively in the nervous system of pigs its natural host and it can also infect other animals causing pseudorabies. PRV exhibits a double-stranded DNA genome encapsulated within an icosahedral capsid surrounded by a lipid bilayer envelope packed with glycoproteins essential for host cell entry.
Biological function summary

The Pseudorabies virus infects a wide range of mammalian hosts but swine are its primary reservoir. The virus replicates in the nucleus of host cells causing lytic infection processes. It does not form part of a complex but utilizes several proteins encoded in its genome to facilitate replication cell-to-cell spread and immune evasion. Once inside the host PRV establishes latency in peripheral nervous tissues and can reactivate leading to secondary infections.

Pathways

Several important cellular pathways interact with the Pseudorabies virus. Notably the virus manipulates the mitogen-activated protein kinase (MAPK) pathway to evade the host's immune response while enhancing its own replication process. The PRV modulates the expression and function of the p38 MAPK protein. Another key pathway involved is the JNK signaling pathway which affects viral replication and cell apoptosis. These interactions highlight how PRV proteins contribute to maintaining infection and influencing cellular responses.

PRV causes Aujeszky's disease leading to severe neurological symptoms and high mortality rates in affected animals. Another impact is on the porcine respiratory system where the virus exacerbates respiratory illnesses. The virus also affects host proteins such as glycoprotein D which is critical for viral entry and immune modulation. Understanding the role of PRV in these diseases aids in developing vaccines and antiviral therapies reducing the economic impact on the swine industry.

製品プロトコール

For this product, it's our understanding that no specific protocols are required. You can visit:

文献 (12)

Recent publications for all applications. Explore the full list and refine your search

Microorganisms 13: PubMed40732040

2025

PRV Induces Neurological Inflammatory Injury by Activating Necroptosis of Brain Tissue.

Applications

Unspecified application

Species

Unspecified reactive species

Chunzi Peng,Jinwu Zhang,Changxu Wu,Danning Liu,Jing Liang,Maojie Lv,Shisen Yang,Xiaoning Li,Yingyi Wei,Hailan Chen,Jiakang He,Tingjun Hu,Meiling Yu

Journal of virology 99:e0041525 PubMed40704967

2025

Pseudorabies virus induces natural killer cell depletion by GSDMD-mediated inflammation and pyroptosis to promote infection and lung injury.

Applications

Unspecified application

Species

Unspecified reactive species

Jing Chen,Guangming Zhao,Yi Yang,Yinhui Li,Yu Song,Daxia Li,Qian Du,Dewen Tong,Yong Huang

Viruses 17: PubMed39861880

2025

HDAC6 Facilitates PRV and VSV Infection by Inhibiting Type I Interferon Production.

Applications

Unspecified application

Species

Unspecified reactive species

Hu Zheng,Xiaohui Yang,Haiwen Zhong,Changxu Song,Zhenfang Wu,Huaqiang Yang

Molecules (Basel, Switzerland) 28: PubMed36677698

2023

Napyradiomycin A4 and Its Relate Compounds, a New Anti-PRV Agent and Their Antibacterial Activities, from WS-68302.

Applications

Unspecified application

Species

Unspecified reactive species

Yani Zhang,Wei Fang,Kaimei Wang,Zhigang Zhang,Zhaoyuan Wu,Liqiao Shi,Fang Liu,Zhongyi Wan,Manli Liu

Frontiers in microbiology 13:985108 PubMed36187970

2022

Myricetin inhibits pseudorabies virus infection through direct inactivation and activating host antiviral defense.

Applications

Unspecified application

Species

Unspecified reactive species

Huaiyue Hu,Zhiqiang Hu,Yingying Zhang,Hongping Wan,Zhongqiong Yin,Lixia Li,Xiaoxia Liang,Xinghong Zhao,Lizi Yin,Gang Ye,Yuan-Feng Zou,Huaqiao Tang,Renyong Jia,Yaqin Chen,Hao Zhou,Xu Song

BMC veterinary research 17:247 PubMed34275451

2021

The antiviral activity of kaempferol against pseudorabies virus in mice.

Applications

Unspecified application

Species

Unspecified reactive species

Lixia Li,Rui Wang,Huaiyue Hu,Xu Chen,Zhongqiong Yin,Xiaoxia Liang,Changliang He,Lizi Yin,Gang Ye,Yuanfeng Zou,Guizhou Yue,Huaqiao Tang,Renyong Jia,Xu Song

Journal of toxicologic pathology 34:161-180 PubMed33976473

2021

Databases for technical aspects of immunohistochemistry: 2021 update.

Applications

Unspecified application

Species

Unspecified reactive species

Takayasu Moroki,Saori Matsuo,Hirofumi Hatakeyama,Seigo Hayashi,Izumi Matsumoto,Satoshi Suzuki,Takashi Kotera,Kazuyoshi Kumagai,Kiyokazu Ozaki

The Journal of veterinary medical science 83:680-684 PubMed33583864

2021

Pseudorabies virus infection in hunting dogs in Oita, Japan: Report from a prefecture free from Aujeszky's disease in domestic pigs.

Applications

Unspecified application

Species

Unspecified reactive species

Chiho Kaneko,Yasuyuki Kaneko,Putu Eka Sudaryatma,Hirohisa Mekata,Yumi Kirino,Ryoji Yamaguchi,Tamaki Okabayashi

BMC veterinary research 14:218 PubMed29980205

2018

Genetic characterization and mutation analysis of Qihe547 Aujeszky's disease virus in China.

Applications

Unspecified application

Species

Unspecified reactive species

Cun Liu,Yanhan Liu,Ye Tian,Xuehua Wei,Yue Zhang,Fulin Tian

The Journal of comparative neurology 523:921-42 PubMed25503925

2015

Feedback in the brainstem: an excitatory disynaptic pathway for control of whisking.

Applications

Unspecified application

Species

Unspecified reactive species

David W Matthews,Martin Deschênes,Takahiro Furuta,Jeffrey D Moore,Fan Wang,Harvey J Karten,David Kleinfeld
View all publications

Abcam product promise

当社は、高品質な試薬を通じてお客様の研究を力強くサポートすることをお約束いたします。ご使用いただく各段階で、常にお客様をサポートできる体制を整えております。万が一、製品が期待通りに機能しない場合は、「Abcam Product Promise」による当社保証制度に基づき、安心してご利用いただけます。
保証に関する詳細については利用規約をご確認ください。

Please note: All products are 'FOR RESEARCH USE ONLY. NOT FOR USE IN DIAGNOSTIC OR THERAPEUTIC PROCEDURES'.

For licensing inquiries, please contact partnerships@abcam.com