JavaScript is disabled in your browser. Please enable JavaScript to view this website.
AB21624

Anti-Nanog 抗体

Anti-Nanog antibody

5

(16 Reviews)

|

(342 Publications)

Anti-Nanog antibody (ab21624) is a rabbit polyclonal antibody detecting Nanog in Western Blot, ICC/IF, ELISA. Suitable for Human,.

- Over 280 publications
- Trusted since 2005

別名を表示する

Homeobox protein NANOG, Homeobox transcription factor Nanog, hNanog, NANOG

9 Images
Immunocytochemistry/ Immunofluorescence - Anti-Nanog antibody (AB21624)
  • ICC/IF

Unknown

Immunocytochemistry/ Immunofluorescence - Anti-Nanog antibody (AB21624)

ab21624 at a 1/1000 dilution staining Nanog in human embryonic stem cells by ICC. An antibody towards Oct4, which has an identical staining pattern to ab21624, was used as a positive control.

Immunocytochemistry/ Immunofluorescence - Anti-Nanog antibody (AB21624)
  • ICC/IF

AbReview53716****

Immunocytochemistry/ Immunofluorescence - Anti-Nanog antibody (AB21624)

Immunocytochemical analysis of Human iPSCs labeling Nanog with ab21624 at 1/75 dilution.

Image courtesy of Mick Wauchope

Western blot - Anti-Nanog antibody (AB21624)
  • WB

Unknown

Western blot - Anti-Nanog antibody (AB21624)

ab21624 recognizes human Nanog but does not recognize mouse Nanog in Western Blot.

All lanes:

Western blot - Anti-Nanog antibody (ab21624) at 1/1000 dilution

Lane 1:

whole cell extract of mouse 3T3 cells expressing mouse Nanog.

Lane 2:

whole cell extract of mouse 3T3 cells expressing human Nanog.

Predicted band size: 34 kDa

Observed band size: 38 kDa

false

Western blot - Anti-Nanog antibody (AB21624)
  • WB

Supplier Data

Western blot - Anti-Nanog antibody (AB21624)

All lanes:

Western blot - Anti-Nanog antibody (ab21624) at 1/200 dilution

Lane 1:

Human fetal fibroblast lysate

Lane 2:

Human iPS cell lysate

Predicted band size: 34 kDa

false

Sandwich ELISA - Anti-Nanog antibody (AB21624)
  • sELISA

Unknown

Sandwich ELISA - Anti-Nanog antibody (AB21624)

Standard Curve for Nanog (Analyte : Nanog protein (ab50053)); dilution range 1 pg/ml to 1 ug/ml using Capture Antibody Mouse monoclonal [1E6C4] to Nanog (ab76586) at 0.2 ug/ml and Detector Antibody Rabbit polyclonal to Nanog - ChIP Grade (ab21624) at 0.5 ug/ml.

Immunocytochemistry/ Immunofluorescence - Anti-Nanog antibody (AB21624)
  • ICC/IF

CiteAb

Immunocytochemistry/ Immunofluorescence - Anti-Nanog antibody (AB21624)

Immunocytochemistry-immunofluorescence using Anti-Nanog antibody, ab21624. Publication image from Li, W. et al., 2019, Nat Commun, 31350386. Legend direct from paper.

CRISPR/Cas9-mediated gene targeting of DGCR8 in hESCs. a Schematic diagram of DGCR8 targeting using CRISPR/Cas9-mediated genome editing with homologous recombination. Neo stands for neomycin-resistance gene cassette used for positive selection. Red triangle indicates the FRT site. b Western blotting analysis of DGCR8 with protein extracts from WT and DR8dex2 hESCs. β-actin was used as the loading control. c G-banded karyotyping analysis of WT and DR8dex2 hESCs. d Immunofluorescence analysis of pluripotency markers OCT4, SOX2, and NANOG in WT and DR8dex2 hESCs. Scale bar, 12.5 µm. e Immunofluorescence analysis of representative markers of three germ layers in teratomas derived from WT or DR8dex2 hESCs. Scale bar, 50 µm. f Clonal expansion analysis of WT and DR8dex2 hESCs. Data were presented as mean ± SEM. n = 3 wells per cell type, ns means no significance. g Cell cycle analysis of WT and DR8dex2 hESCs. n = 3 wells per cell type, ns means no significance. Statistical significances were assessed by a two-tailed unpaired Student’s t test

Immunocytochemistry/ Immunofluorescence - Anti-Nanog antibody (AB21624)
  • ICC/IF

CiteAb

Immunocytochemistry/ Immunofluorescence - Anti-Nanog antibody (AB21624)

Immunocytochemistry-immunofluorescence using Anti-Nanog antibody, ab21624. Publication image from Kuo, H. C. et al., 2017, Nat Commun, 29074849. Legend direct from paper.

Disrupting circBIRC6 or circCORO1C impairs hESC pluripotency. a The schematic illustrates how circular junction sites were targeted for circRNA-specific shRNAs (shcircRNAs). The schematic also shows the targeted regions for RT-qPCR primers. Divergent primers were used for circRNAs and convergent primers for the linear isoforms. b–d Total RNA isolated from hESCs transfected with shcircB, shcircC, shcircMa, or paired control virus 3 days post transduction was analyzed by RT-qPCR to determine the expression levels of bcircBIRC6 (circB), circCORO1C (circC), circMAN1A2 (circMa), and their linear counterparts (LinB, LinC, and LinMa), and the indicated c pluripotency-associated genes and d lineage-associated genes. e AP staining of shcircB, shcircC, and shcircMa-transduced H9 hESCs. Scale bar : 200 µm. f ICC analysis of shcircB, shcircC, or shcircMa-transduced H9 hESCs 3 days post virus infection using antibodies against the pluripotency and lineage markers as indicated. The corresponding bar graphs show quantitative analysis of the percentage of cells expressing pluripotency-associated markers or lineage-associated markers. Scale bar : 20 µm. g ICC and quantitative comparison of NANOG and OCT4 expression between shcircB-transduced and shcircC-transduced hESCs and their counterparts rescued by overexpression of circBIRC6 (H9-shcircB-res) or circCORO1C (H9-shcircC-res). Nuclei were stained with DAPI (blue). Scale bar : 20 µm. h RT-qPCR analysis of the expression of the indicated pluripotency-associated genes in shcircB-transduced or shcircC-transduced H9 hESCs and their rescued counterparts, H9-shcircB-res and H9-shcircC-res. Quantitative data from three independent experiments is presented as mean ± SD (error bars). P-values were determined by two-tailed two-sample t-tests (*P < 0.05; **P < 0.01; ***P < 0.001)

Immunocytochemistry/ Immunofluorescence - Anti-Nanog antibody (AB21624)
  • ICC/IF

CiteAb

Immunocytochemistry/ Immunofluorescence - Anti-Nanog antibody (AB21624)

Immunocytochemistry-immunofluorescence using Anti-Nanog antibody, ab21624. Publication image from Kuo, H. C. et al., 2017, Nat Commun, 29074849. Legend direct from paper.

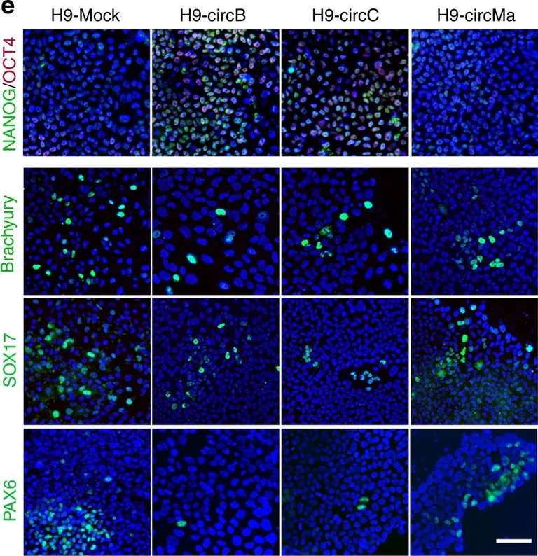
CircBIRC6 or circCORO1C promote hESC pluripotency. a Schematic illustrating the major components of circRNA minigene constructs. Arrows indicate the placement and direction of RT-qPCR primers used to amplify circRNA or precursor transcripts. b–d RT-qPCR analysis of the expression of b circRNAs and their precursor transcripts, and the indicated c pluripotency-associated genes and d lineage-associated genes in hESCs transfected with a circRNA minigene (H9-circB, H9-circC, and H9-circMa) cultured under differentiation conditions. e ICC analysis and f quantitative analysis of the expression of the pluripotency and lineage markers as indicated in hESCs transfected with a circRNA minigene (H9-circB, H9-circC, and H9-circMa) and cultured under differentiation conditions. Nuclei were stained with DAPI (blue). Scale bar : 20 µm. Quantitative data from three independent experiments is presented as mean ± SD (error bars). P-values were determined by two-tailed two-sample t-tests (*P < 0.05; **P < 0.01; ***P < 0.001)

Western blot - Anti-Nanog antibody (AB21624)
  • WB

CiteAb

Western blot - Anti-Nanog antibody (AB21624)

Western Blotting using Anti-Nanog antibody, ab21624. Publication image from Ansorge, O. et al., 2016, Nat Commun, 26899176. Legend direct from paper.

Transformation of human iNPCs results in the acquisition of a GTIC-like phenotype in vitro.(a) Flow cytometry analysis for the indicated markers in different transformed and wild-type iNPC groups (n=4/group with technical duplicates). (b) Transformation of human iNPCs leads to increased self-renewal properties only in cells where PI3K and MAPK signalling is dysregulated by overexpression of Ras/EGFR/Src mutant genes as highlighted by single-cell self-renewal assays (n=3/group with 24 technical replicates). (c) iNPC transformation results in the upregulation of endogenous NANOG as highlighted by western blot analyses. (d) NANOG expression is upregulated in primary human adult glioma samples. (e) Unsupervised cluster analysis of mRNA expression data highlighting the similarities between transformed iNPCs and primary GTICs. Please note that p53KDiNPCs are more similar to WTiNPCs than to primary GTICs. (f,g) Transformation of human iNPCs induces glycolytic (f) and oxidative phosphorylation changes as indicated by Seahorse analysis (g), as measured by ECAR and OCR (n=4/group with four technical replicates). Data are represented as mean ±s.d. P values were calculated by Student's t-test or Mann–Whitney test when appropriate and represented as follows : *P<0.05. Scale bars, 200 µm (d).

false

Key facts

宿主種

Rabbit

クローン性

Polyclonal

アイソタイプ

IgG

キャリアフリー

No

交差種

Human

アプリケーション

ICC/IF, sELISA, WB

applications

免疫原

Synthetic Peptide within Human NANOG aa 1-50. The exact immunogen used to generate this antibody is proprietary information.

Q9H9S0

Reactivity data

{ "title": "Reactivity Data", "filters": { "stats": ["", "Species", "Dilution Info", "Notes"], "tabs": { "all-applications": {"fullname" : "All Applications", "shortname": "All Applications"}, "WB" : {"fullname" : "Western blot", "shortname":"WB"}, "sELISA" : {"fullname" : "Sandwich ELISA", "shortname":"sELISA"}, "ICCIF" : {"fullname" : "Immunocytochemistry/ Immunofluorescence", "shortname":"ICC/IF"} }, "product-promise": { "all": "all", "testedAndGuaranteed": "tested", "guaranteed": "expected", "predicted": "predicted", "notRecommended": "not-recommended" } }, "values": { "Human": { "WB-species-checked": "testedAndGuaranteed", "WB-species-dilution-info": "1/200", "WB-species-notes": "<p>Some users report a stronger signal after blocking and diluting antibodies with 1% BSA instead of 5% milk. Mouse target cannot be detected by WB.</p>", "sELISA-species-checked": "guaranteed", "sELISA-species-dilution-info": "", "sELISA-species-notes": "", "ICCIF-species-checked": "testedAndGuaranteed", "ICCIF-species-dilution-info": "1/1000", "ICCIF-species-notes": "<p></p>" }, "Synthetic peptide - Human": { "WB-species-checked": "notRecommended", "WB-species-dilution-info": "", "WB-species-notes": "", "sELISA-species-checked": "testedAndGuaranteed", "sELISA-species-dilution-info": "0.5 µg/mL", "sELISA-species-notes": "<p>For sandwich ELISA, use this antibody as Detection at 0.5 µg/ml with Mouse monoclonal [1E6C4] to Nanog (ab76586) as Capture.</p>", "ICCIF-species-checked": "notRecommended", "ICCIF-species-dilution-info": "", "ICCIF-species-notes": "" } } }

製品の詳細

What is this antibody validated in?
Anti-Nanog antibody (ab21624) is a rabbit polyclonal antibody and is validated for use in Western Blot (WB), Immunocytochemistry/immunofluorescence (ICC/IF), ELISA in Human, samples.

What is the molecular weight of Nanog?
Anti-Nanog (ab21624) specifically detects a band for Nanog (UniProt: Q9H9S0) at a molecular weight of 34kDa.

Trusted by the scientific community
Anti-Nanog (ab21624) was first used in a scientific publication in 2005 and has been cited over 280 times in peer-reviewed journals.

Reviewed by scientists
Anti-Nanog (ab21624) has over 15 independent reviews from customers.

出荷温度及び保存条件

製品の状態
Liquid
精製方法
Affinity purification Immunogen
バッファー組成
pH: 7.2 Preservative: 0.1% Sodium azide Constituents: PBS
出荷温度
Blue Ice
短期保存期間
1-2 weeks
短期保存温度
+4°C
長期保存温度
-20°C
分注に関する情報
Upon delivery aliquot
保管に関する情報
Avoid freeze / thaw cycle

補足情報

This supplementary information is collated from multiple sources and compiled automatically.

Nanog also known as Nanog homeobox is a transcription factor playing an important role in maintaining the pluripotency of embryonic stem cells. The molecular weight of Nanog is approximately 35 kDa. It is found mainly in the inner cell mass of the blastocyst but it also expresses in embryonic stem cells and some adult stem cell populations. Nanog acts by binding to DNA in a sequence-specific manner to regulate gene expression essential for stem cell self-renewal and pluripotency.
Biological function summary

Nanog plays a central role in stem cell biology operating as part of a complex regulatory network. Nanog interacts with other important transcription factors like Oct4 and Sox2 forming a core pluripotency network. This network suppresses the differentiation of stem cells by regulating the expression of genes involved in cell fate decisions. By modulating the expression of different pathways Nanog ensures the maintenance of an undifferentiated state in stem cells.

Pathways

Nanog is deeply embedded in the Wnt/Β-Catenin and TGF-Β signaling pathways important for stem cell maintenance and differentiation. In the Wnt/Β-Catenin pathway Nanog works alongside proteins like Β-catenin to drive the expression of genes that promote self-renewal. Meanwhile in the TGF-Β pathway Nanog acts with proteins such as Smad2/3 to balance pluripotency and differentiation signals. These pathways critically support the complex network that sustains stem cell identity and function.

Nanog's expression relates closely to its role in various cancers such as glioblastoma and colorectal cancer. Abnormally high levels of Nanog contribute to the tumorigenicity of cancer cells by maintaining their self-renewal and undifferentiated state similar to its role in stem cells. Nanog interacts with proteins like p53 known for its tumor suppressor functions often leading to challenges in cancer treatment. Understanding Nanog's influence in these pathways provides valuable insights into therapeutic targets for combating cancer stem cell resilience.

製品プロトコール

For this product, it's our understanding that no specific protocols are required. You can visit:

ターゲットの情報

Transcription regulator involved in inner cell mass and embryonic stem (ES) cells proliferation and self-renewal. Imposes pluripotency on ES cells and prevents their differentiation towards extraembryonic endoderm and trophectoderm lineages. Blocks bone morphogenetic protein-induced mesoderm differentiation of ES cells by physically interacting with SMAD1 and interfering with the recruitment of coactivators to the active SMAD transcriptional complexes. Acts as a transcriptional activator or repressor. Binds optimally to the DNA consensus sequence 5'-TAAT[GT][GT]-3' or 5'-[CG][GA][CG]C[GC]ATTAN[GC]-3'. Binds to the POU5F1/OCT4 promoter (PubMed : 25825768). Able to autorepress its expression in differentiating (ES) cells : binds to its own promoter following interaction with ZNF281/ZFP281, leading to recruitment of the NuRD complex and subsequent repression of expression. When overexpressed, promotes cells to enter into S phase and proliferation.
See full target information NANOG

文献 (342)

Recent publications for all applications. Explore the full list and refine your search

FASEB journal : official publication of the Federation of American Societies for Experimental Biology 39:e70958 PubMed40873389

2025

Intracellular and Extracellular Vesicle miRNA Signatures in Human iPSC-Derived Neural Stem Cells and Floor Plate Progenitors.

Applications

Unspecified application

Species

Unspecified reactive species

Lilian Cruz,Frederico Moraes Ferreira,Camila Miranda Lopes-Ramos,Zhiyun Wei,William T Hendriks,H A Jinnah,Helder I Nakaya,D Cristopher Bragg,Anna M Krichevsky,Xandra Owens Breakefield,Marilene Hohmuth Lopes

Scientific reports 15:29484 PubMed40796594

2025

Cardamonin inhibits the growth and stemness of osteosarcoma stem cells by inducing autophagy and inhibiting the Wnt/β-catenin signaling pathway.

Applications

Unspecified application

Species

Unspecified reactive species

Lulu Zhang,Yu Jin,Qiannan Ding,Yulei Li,Lixia Yang,Mengyun Li,Zuo Lv,Kaifang Wang,Maowei Yang,Haixin Zhang,Xiucheng Li

iScience 28:112843 PubMed40662194

2025

Serine synthesis pathway regulates cardiac differentiation from human pluripotent stem cells.

Applications

Unspecified application

Species

Unspecified reactive species

Tomohiko C Umei,Shugo Tohyama,Yuika Morita-Umei,Manami Katoh,Seitaro Nomura,Kotaro Haga,Takako Hishiki,Tomomi Matsuura,Hidenori Tani,Yusuke Soma,Otoya Sekine,Masatoshi Ohno,Masashi Nakamura,Taijun Moriwaki,Yoshikazu Kishino,Keiichi Fukuda,Masaki Ieda

Biomolecules 15: PubMed40149974

2025

Efficient Fabrication of Human Corneal Stromal Cell Spheroids and Promoting Cell Stemness Based on 3D-Printed Derived PDMS Microwell Platform.

Applications

Unspecified application

Species

Unspecified reactive species

Yuexi Chen,Jianing Gu,Zekai Cui,Xihao Sun,Yuqin Liang,Chunwen Duan,Xiaoxue Li,Zhanyu Su,Bo Zhang,Jiansu Chen,Zheng Wang

Scientific reports 15:7095 PubMed40016322

2025

Chlorogenic acid promotes fatty acid beta-oxidation to increase hESCs proliferation and lipid synthesis.

Applications

Unspecified application

Species

Unspecified reactive species

Ming Zong,Jingzhang Ji,Qinglai Wang,Yizhen Cai,Lijun Chen,Lixin Zhang,Weibo Hou,Xuanwen Li,Qingran Kong,Cunqing Zheng,Jiaming Zhang,Qi Zhao,Wenpin Cai

Nature communications 16:1982 PubMed40011434

2025

Dysregulation of mitochondrial α-ketoglutarate dehydrogenase leads to elevated lipid peroxidation in CHCHD2-linked Parkinson's disease models.

Applications

Unspecified application

Species

Unspecified reactive species

Ge Gao,Yong Shi,Han-Xiang Deng,Dimitri Krainc

The Journal of biological chemistry 301:108235 PubMed39880095

2025

The Shab family potassium channels are highly enriched at the presynaptic terminals of human neurons.

Applications

Unspecified application

Species

Unspecified reactive species

Orion Benner,Charles H Karr,Astrid Quintero-Gonzalez,Michael M Tamkun,Soham Chanda

Journal of molecular and cellular cardiology plus 10: PubMed39742339

2025

Modeling immune checkpoint inhibitor associated myocarditis and its therapeutic implications.

Applications

Unspecified application

Species

Unspecified reactive species

Garrett Jensen,Xinjie Wang,Jacob Kuempel,Zhishi Chen,Wei Yu,Nicolas Palaskas,Mary Sobieski,Nghi Nguyen,Reid T Powell,Clifford Stephan,Weijia Luo,Jiang Chang

PloS one 19:e0311761 PubMed39388496

2024

CRISPR/Cas9 gene editing in induced pluripotent stem cells to investigate the feline hypertrophic cardiomyopathy causing MYBPC3/R820W mutation.

Applications

Unspecified application

Species

Unspecified reactive species

Luke C Dutton,Jayesh Dudhia,Deborah J Guest,David J Connolly

Stem cell research 81:103548 PubMed39353357

2024

A spinal and bulbar muscular atrophy (SBMA) disease-specific human embryonic stem cell (hESC) line, UMICHe002-A/UM197-1.

Applications

Unspecified application

Species

Unspecified reactive species

Indri Erliandri,Agamjot Sangotra,Laura Keller,Andrew P Lieberman,Gary D Smith
View all publications

Abcam product promise

当社は、高品質な試薬を通じてお客様の研究を力強くサポートすることをお約束いたします。ご使用いただく各段階で、常にお客様をサポートできる体制を整えております。万が一、製品が期待通りに機能しない場合は、「Abcam Product Promise」による当社保証制度に基づき、安心してご利用いただけます。
保証に関する詳細については利用規約をご確認ください。

Please note: All products are 'FOR RESEARCH USE ONLY. NOT FOR USE IN DIAGNOSTIC OR THERAPEUTIC PROCEDURES'.

For licensing inquiries, please contact partnerships@abcam.com